作者: 文章来源: 发布时间:2019-11-22 09:38:36 您是第位浏览者
2019年11月21日下午,备受社会各界关注的老城区华夏世贸南2019-3#48.5336亩居住用地在宿州市公共资源交易中心成功摘牌。

本次土拍吸引了金科、新城、万兴、文德、金皖等多家房企现身家房企现身,“夺地”大战一触即发。经过现场近一小时的紧张竞价,最终,万兴表现激进,于宿州在下一子。最终成交单价460万/亩,成交总价22325.46万元,楼面价约3136.36元/㎡。

至此,万兴集团自2018年进驻宿州,相继开发万兴·九玺台、万兴·龙玺台、万兴·云玺台后,宿州“第四子”正式落地。四盘齐发力,显示出万兴集团深耕宿州,造福宿州的决心和信心。

一、地块详情

2019-3#地块现状实景
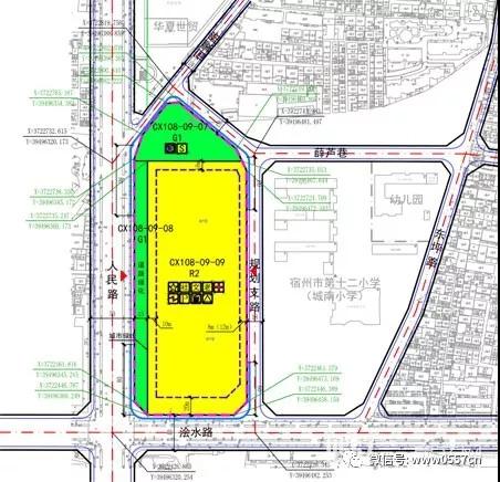
地块编号:2019-3#地
土地位置:西关街道浍水路以北、人民路绿线用地以东、规划支路以西、绿地用地以南。
土地面积:32355.74㎡(48.5336亩)
规划用途:二类居住
容积率:1.8≤R≤2.2 建筑密度≤25% 绿地率≥40%
出让年限:住宅70 商业40
起始价:230万元/亩
竞买保证金:9000万元
备注:宗地商业建筑面积占地上总建筑面积不大于10%
起拍楼面价:1568元/㎡

2019-3#地块控制性规划
二、地块现状
据了解,2019-3#地为人民路16号地棚户区改造释放地块,目前该用地范围内房屋早已实现拆除,土地基本实现平整,处于净地状态,开发难度较小。


2019-3#地块现状实景
三、地块优势及看点
2019-3#地块地理位置极为优越,西侧紧邻城市主干道人民路,南临浍水东路,交通出行十分便捷。同时,项目南侧临皖北医院仅500米,东侧一路之隔即为新建的十二小浍水路校区、公立幼儿园等,近享优质教育资源。

2019-3#地西临人民路

2019-3#地南临浍水路

2019-3#地与十二小浍水路校区仅一路之隔
同时,该地块周边华夏世贸广场、吾悦广场(即将开业)等大型商业近在咫尺,各项生活配套设施一应俱全,是宿州城区难得的一宗优质好地。

2019-3#地北侧即为华夏世贸广场

2019-3#地北临吾悦广场(即将开业)